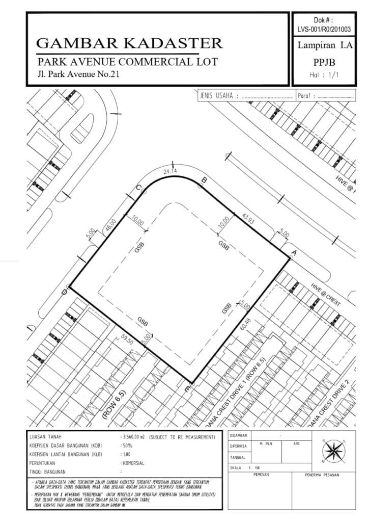
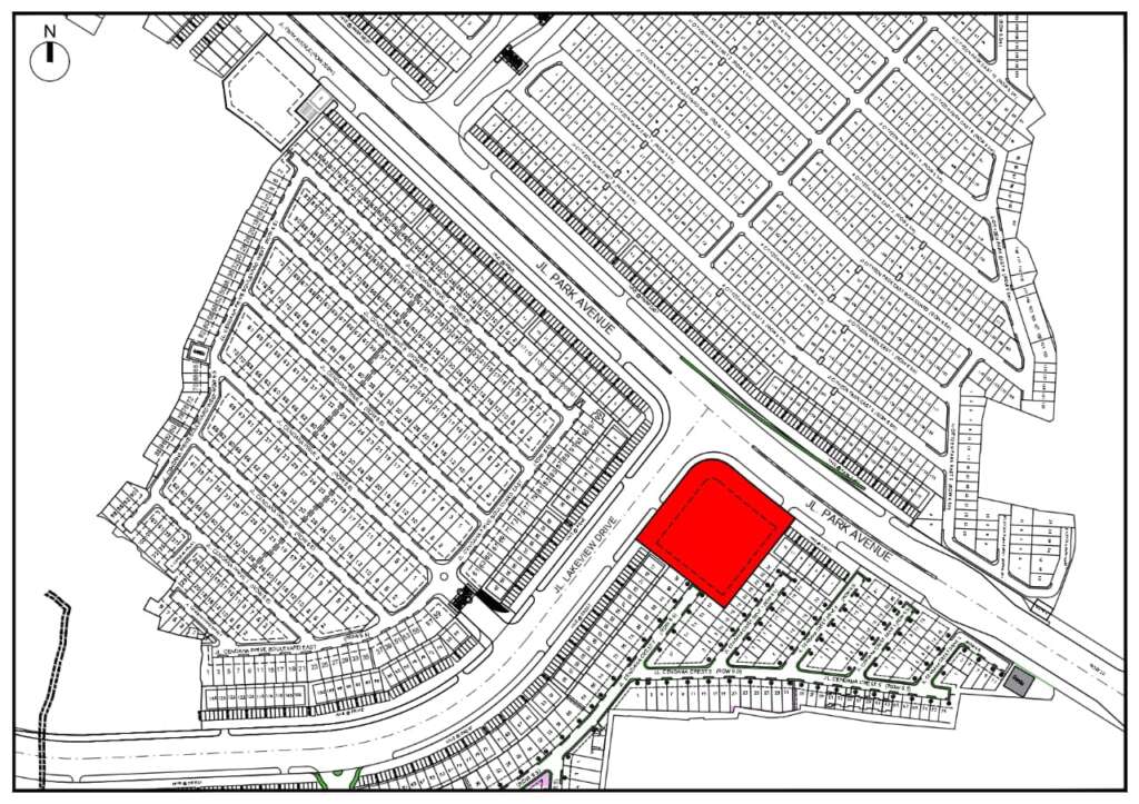
Commercial Lot at Park Serpong’s Main Boulevard
kavling komersial yang sangat cocok untuk lokasi bisnis anda di township park serpong seluas 400 hektar dengan potensi yang tidak terbatas pesatnya , segera hubungi kami untuk survey lokasinya sebelum kehabisan


























also available commercial lot park avenue no 21 , luas 3560 meter, lahan kotak rata datar



